Πτήση ΜΗ370: Ψάχνοντας το χαμένο Boeing ανακαλύφθηκε στον βυθό βουνό μεγαλύτερο του Εβερεστ [εικόνες] - iefimerida.gr

Πτήση ΜΗ370: Ψάχνοντας το χαμένο Boeing ανακαλύφθηκε στον βυθό βουνό μεγαλύτερο του Εβερεστ [εικόνες]

NEWSROOM IEFIMERIDA.GR

To χαμένο Boeing 777 της πτήσης ΜΗ370 των αερογραμμών της Μαλαισίας, που εξαφανίστηκε στις 8 Μαρτίου του 2014, αποτελεί ένα από τα μεγαλύτερα μυστήρια στην ιστορία της πολιτικής αεροπορίας.

Ωστόσο, οι επιστήμονες κατά τη διάρκεια της αναζήτησής του τα τελευταία τρία χρόνια ανακάλυψαν πράγματα που δεν γνώριζε κανείς για την ίδια τη Γη.

Το αεροσκάφος της πτήσης ΜΗ370 των αερογραμμών της Μαλαισίας εξακολουθεί να αγνοείται. Παρέσυρε στο θάνατο 239 επιβάτες και το πλήρωμα, πετώντας από την Κουάλα Λουμπούρ προς το Πεκίνο τον Μάρτιο του 2014. Εκτός από κάποια συντρίμμια που βρέθηκαν κατά διαστήματα στη θάλασσα και τα οποία δεν ταυτοποιήθηκαν ποτέ πως ανήκαν στο συγκεκριμένο αεροπλάνο, Αυστραλοί επιστήμονες που έτρεξαν την έρευνα ανακάλυψαν πράγματα για το βυθό, τους ωκεανούς και τη μετακίνηση των ηπείρων που δεν γνώριζαν μέχρι σήμερα.

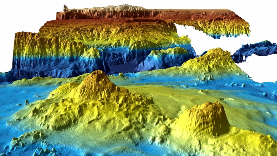
Οι λεπτομερειακοί χάρτες βυθού που έχουν καταρτιστεί στην διάρκεια των ερευνών για την ανεύρεση του αγνοούμενου αεροσκάφους μπορούν να βοηθήσουν στην βελτίωση της κατανόησης για τους πληθυσμούς των ψαριών, αλλά και την προϊστορική μετακίνηση των ηπείρων που βρίσκονται στο νότιο ημισφαίριο της γης.

Πτήση ΜΗ370: Ψάχνοντας το χαμένο Boeing ανακαλύφθηκε στον βυθό βουνό μεγαλύτερο του Εβερεστ [εικόνες] | iefimerida.gr 0

Οι χάρτες αυτοί, δόθηκαν στην δημοσιότητα ενώ η έρευνα στον Ινδικό ωκεανό ολοκληρώθηκε τον Ιανουάριο, αποκαλύπτοντας την ύπαρξη υποβρύχιων βουνών που έχουν έκταση μεγαλύτερη από αυτή του Έβερεστ. Παράλληλα, εντοπίστηκε και μία χαράδρα στο βυθό, η οποία είναι διάσπαρτη από υπόγεια ηφαίστεια, ενώ έχει μήκος εκατοντάδων χιλιομέτρων.

Πτήση ΜΗ370: Ψάχνοντας το χαμένο Boeing ανακαλύφθηκε στον βυθό βουνό μεγαλύτερο του Εβερεστ [εικόνες] | iefimerida.gr 1

Κατά τη διάρκεια των ερευνών, οι επιστήμονες κατάφεραν να καλύψουν 710.000 τετραγωνικά χιλιόμετρα. Αυτός ο αριθμός τους δίνει το δικαίωμα να θεωρούν πως τα συμπεράσματα που έχουν εξάγει είναι αρκετά ασφαλή και πως πλέον μπορούν να κατανοήσουν καλύτερα πολλά δεδομένα που μέχρι σήμερα ήταν εντελώς άγνωστα. Αξίζει να σημειωθεί πως σύμφωνα με τον Στιούαρτ Μίντσιν, τον επικεφαλής της έρευνας μόνο το 10% με 15% των ωκεανών του πλανήτη έχει εξερευνηθεί με τα μέσα που χρησιμοποιήθηκαν για τον εντοπισμό του αεροσκάφους.

Μέσα στο έτος μάλιστα αναμένεται να δοθούν στη δημοσιότητα βίντεο και φωτογραφίες, που τραβήχτηκαν στο βυθό κατά τη διάρκεια των ερευνών.

Ακολουθήστε το στο Google News και μάθετε πρώτοι όλες τις ειδήσεις
Δείτε όλες τις τελευταίες Ειδήσεις από την Ελλάδα και τον Κόσμο, στο 
ΔΙΑΒΑΣΤΕ ΠΕΡΙΣΣΟΤΕΡΑ Boeing 777 MH370 boeing Malaysia
ΣΧΟΛΙΑΣΜΟΣ
Tο iefimerida.gr δημοσιεύει άμεσα κάθε σχόλιο. Ωστόσο δεν υιοθετούμε τις απόψεις αυτές καθώς εκφράζουν αποκλειστικά τον εκάστοτε σχολιαστή. Σχόλια με ύβρεις διαγράφονται χωρίς προειδοποίηση. Χρήστες που δεν τηρούν τους όρους χρήσης αποκλείονται.

ΔΕΙΤΕ ΕΠΙΣΗΣ

ΠΕΡΙΣΣΟΤΕΡΑ